

新京报快讯(记者 倪伟)据中国探月工程办公室消息,嫦娥四号着陆器和玉兔二号月球车分别于9月24日7时30分、23日23时18分结束第22月昼工作,进入月夜休眠。嫦娥四号已在月球背面度过630个地球日,玉兔二号累积行驶547.17米。
基于第21月昼全景相机拼接影像、DOM影像等数据情况,玉兔二号月球车在第22月昼期间主要以行驶为主,先后在距离着陆点西北方向约1.3km的撞击坑和反射率较高的区域进行了探测。

玉兔二号拍摄的嫦娥四号着陆点西北方向约1.3km的撞击坑。图/探月工程办公室
科研人员利用探测数据取得多项科学成果,近期发表在Nature Astronomy国际期刊上。科学团队对雷达探测数据开展了深入研究,获得了着陆区月壤和浅层结构的重要发现。基于低频雷达信号特征,将着陆区的浅层结构划分为三大基本单元。
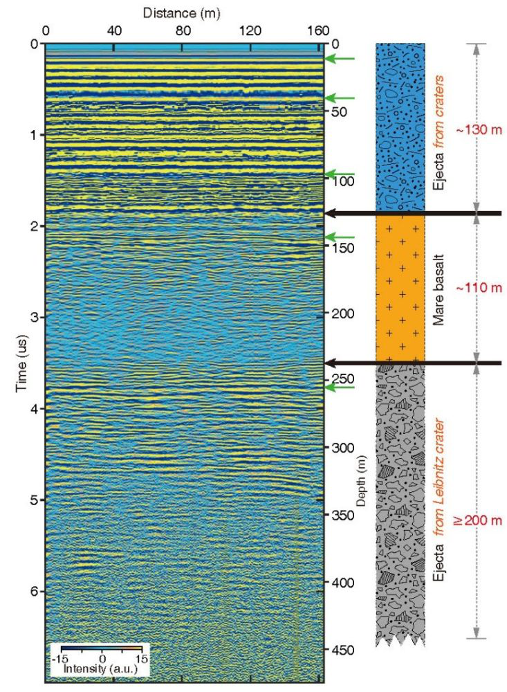
结合区域地质和大型撞击坑的空间分布等基本约束,地质解译结果如下:单元1(总厚度约130m)为临近多个撞击坑的溅射物堆积和底部玄武岩角砾层;单元2(总厚度约110 m)为多次喷发的玄武岩层;单元3(厚度不小于200 m)为着陆区北部莱布尼兹撞击坑的溅射物。
高频雷达信号进一步给出单元1上部的精细结构,其顶部存在厚达12m的月壤层,基本不含大石块,其下为厚达22m的条带状溅射物,它们均是来自芬森撞击坑的抛射物,总厚度达34m。

测月雷达低频通道的探测剖面及解译结果。图/探月工程办公室
测月雷达获取的浅层结构剖面,表明玉兔二号探测的月面物质来自于芬森撞击坑,而不是来自冯·卡门撞击坑自身的充填玄武岩。同时,该雷达剖面还揭示了着陆区经历多期次的撞击溅射堆积和多期次玄武岩浆喷发充填。
据介绍,这些新发现对于认识月球南极-艾肯盆地的演化具有非常重要的意义,对于月球内部物质组成和结构的后续探测与研究有重要指导作用。
新京报记者 倪伟
编辑 樊一婧 校对 王心




